Змінюй хід війни! Допомагай ЗСУ!

Как со спутника обнаруживают тоннели?

  • Автор теми Автор теми an-140
  • Дата створення Дата створення
это не канальное изображение и уж точно тот кто это нарисовал ни разу не имел дела с программами для дешифровки карт, это настолько тупо что даже не смешно, возмите простейшие ArcGIS или ERDAS, займет это полчаса, на рутрекере они есть, и просто потыкайте в примеры из справки.



для примера, вот так выглядит распознавание снимков

erdas0.webp
 
Останнє редагування:
это настолько тупо что даже не смешно
Флудеры достали во всех ветках. А этот "меее" у меня в игноре с давних пор. Щас спецом снял игнорирование, чтоб почитать очередной бред.
Рассказываю всем.
По аналогичным спутниковым спектроснимкам коллеги недавно танк из болота подняли. Схему известной на Слобожанщине подземки разрисовали еще несколько лет назад. И так далее.
Понятно, что из-за конкуренции никто не рекламирует свои знания, наработки, успехи и находки. Но фактов применения спутниковых технологий в поисковых целях я знаю немерянно. Тем более, что сегодня это стало не так дорого и снимки можно покупать и заказывать без проблем.
Можно даже заказывать георадарные исследования. Но это пока дороговато. Для примера привожу рисунок спутникового георадарного исследования курганных захоронений.
:клас:

А тебе, флудер, в очередной раз рекомендую читать вопрос темы, а не умничать не по теме выпячивая свои передранные курсовые проекты. Топик читают люди с тремя образованиями и академическими званиями, которые непосредственно работают в теме и им действительно смешно.
Не позорься.

:rolleyes:
 

Вкладення

  • 710_GPRSAT.webp
    710_GPRSAT.webp
    53.3 КБ · Перегляди: 229
да, разумеется принтскрин гуглмапс прогнанный через фотошоп, это именно то чем пользуется геоинформатик, какие тут сомнения. Только *******.

ЗЫ. По поводу образования, у меня на работе я записан как инженер-геоинформатик, в дипломе аналогично и даже защищался я почему то по алгоритмам дешифрации спутниковых снимков. Ясен пень что я ничего не понимаю, опыт мой ложный, а альтернативная наука это тру.



ну и коль уж мы меряемся картинками, вот так выглядит результат настоящих изысканий
high_grade_gold_shoots.webp


зы. к исследованиям гугл карт. Они являются синтетическим изображением с использованием 4 сенсоров, спутник не фотоаппарат и такие снимки просто не выдаёт. Так что это уже результат постобработки части каналов, и разбор их обратно это всёравно что разбирать частично сваренный борщ в ожидании что получатся оригинальные продукты.
 
Останнє редагування:
с орбиты в 300 километров георадарная система имеет слишком большое расхождение луча ,
даже 1 градус с такого растояния даст пятно в 3 километра и то это на СВЧ,
а они проникают в грунт не глубже нескольких сантиметров,
приповерхностный тунель даже всего под 1 метром грунта он в принципе не обнаружит и как выделить сигнал от однометрового тонеля из пятна диаметром 3 километра?
если применить большую многометровую и очень точную антенну
(что в условиях космоса очень трудно и очень дорого )
максимум что можно получить это 0,25 градуса ,
а это "точка" диаметром 750 метров!
но представим что вояки пошли на принцып и создали на орбите огромную распределённую антенну с лучом в 0,1 градуса
и даже в этом чрезвычайно дорогом устройстве получим точку размером 300 метров!
вот из этих "точек" и будет состоять изображение полученное в результате спутникового георадарного сканирования (в СВЧ диапазоне)
если использовать более длинные волны размеры антенн на орбите должны стать километровых размеров.
кроме этого такие антенны становятся очень уязвимы для уничтожения метеоритами или противоспутниковым оружием,
хорошая противоспутниковая система земного базирования, не только лазерная или пучковая,
но и микрометеоритная может легко и быстро вывести из строя все низколетящие спутники в том числе военные, поэтому военные такого нестойкого монстра делать точно не будут.
 
Останнє редагування:
А выводы?
Ведь обнаруживают....
 
георазведкой обнаруживают, приезжает здоровый машин и бурит ямку, на картинке сверху это нефть, а чёрные хуёвины это точки в которых проводились замеры.
Есть ещё акустико резонансные сканенеры есть радио сканеры, есть много чего, но всё это таскается по самой земле и работать на удалении принципиально не может.
вот так это выглядит для локальных исследований, на десятки-сотни метров вниз
gssi.png


собственно гугл
⚠ Тільки зареєстровані користувачі бачать весь контент та не бачать рекламу.

в блогах у нефтяников периодами попадаются статьи на тему разведки, поищите
 
ЗЫ. По поводу образования, у меня на работе я записан как инженер-геоинформатик, в дипломе аналогично и даже защищался я почему то по алгоритмам дешифрации спутниковых снимков. Ясен пень что я ничего не понимаю, опыт мой ложный, а альтернативная наука это тру.
:іржач:
И где же такие чудесные дипломы детям выдают?
Заглянем, например, сюда:
⚠ Тільки зареєстровані користувачі бачать весь контент та не бачать рекламу.

Сказочник, ты часом не в этой конторе работаешь?
Так они сами утверждают, что в Украине специалистов ГИС не выпускают. А те, кто есть - полные бараны в современных технологиях и признают только бурение.
Добурились, сцуки, загадили экологию чистейшей Слобожанщины добычей сланцевого газа и т.п... А элементарного подземного хода в Липцах найти не можете, бо, не знаете, как это делается. :іржач:

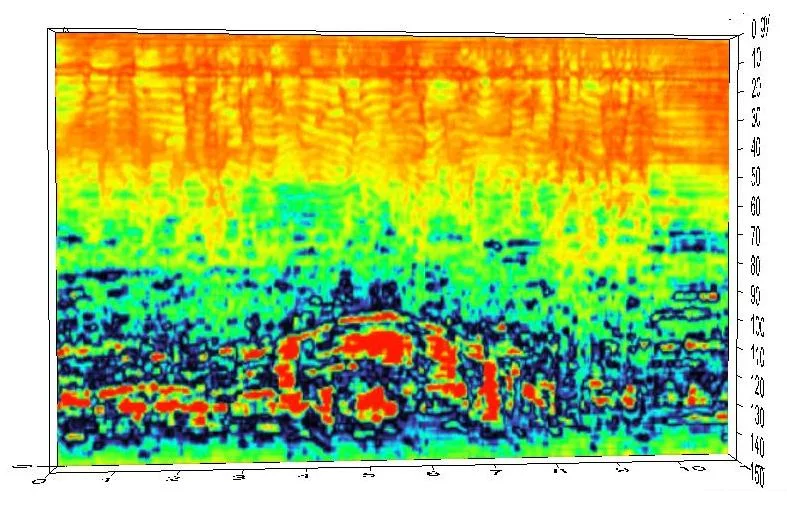
А вот этот профиль радарограммки лично от меня. Кстати, на нем как раз Харьковская подземка просматривается.
:клас:

Ладно, спец по флуду, меряться мы больше ничем не будем, не доросла у тебя еще мерялка. Запихну-ка я тя снова в игнор - там тебе самое место. :клас:
 

Вкладення

  • 20121002_112451_StasAI.webp
    20121002_112451_StasAI.webp
    74.4 КБ · Перегляди: 177
Останнє редагування:
Ладно, просто назови длину волны или название сенсора.

Информация эта открытая, за редким исключением, вот тебе группировка с которой в частности и гуглмап рисуется
⚠ Тільки зареєстровані користувачі бачать весь контент та не бачать рекламу.
ей далеко до идеала, но дешево и куча сенсоров.
вот список по сенсорам на русском в одном месте если читать сложно, там и разрешающая есть
⚠ Тільки зареєстровані користувачі бачать весь контент та не бачать рекламу.
 
Останнє редагування:
чтобы быть обьективным практическая возможность получить у распределённой спутниковой антенны работающей на частотах 100-1000Мгц разрешающую способность сопоставимую с длинной волны всё таки есть и это при вполне умеренных финансовых затратах
т.е. для неглубоко залегающих тонелей (не глубже 2х метров) физическая возможность
обнаружения есть, но она очень уж экзотическая и не факт что она реализована на практике,
(нужны чрезвычайно точные замеры и очень точные данные о месте приёма в условиях космоса)
а находят по чуть другой растительности и содержанию влаги над тонелем, по едва отличимой температуре, по сравнению с окружающей растительностью и грунтом, по другой интенсивности гамма излучения радона над местом прохождения тонеля, которое зондируют с помощью гамма телескопа находящегося на орбите.
и возможно ренгеновского телескопа, но у ренгеновских лучей гораздо сильнее поглощение в атмосфере.
(возможно какое то специфичное вторичное излучение создаваемое распадом радона)
 
Останнє редагування:
чтобы быть обьективным ....
физическая возможность обнаружения есть,
Чтобы быть объективным, грамотные люди и специалисты на форуме все-таки есть.
:клас:

...а находят по чуть другой...
Но зачем же выдавать секреты?..:confused:
Кучманы, Ющенки и прочие "любители истории" и так все курганы, казацкие казны и монатыркие клады не торопясь вскроют и вертолетами вывезут. Они уже все давно вычислены и вымеряны "по чуть другой..." современной технологии.
А вот, если все черные копачи в современные технологии полезут, то в моем подвальчике завтра даже винчик будет украден.

:пиво:
 
Я не прав или действительно, каким-либо образом со спутника можно обнаружить подземное сооружение? Ядерные объекты с источниками излучения в расчет не берем - с этим все понятно.

Существует простая,физичеая истина: Чтобы обнаружить подземное сооружение, нужно чтобы толщина грунта от свода до поверхности Земли была меньше Скин-слоя для длины волны зондирующего сигнала (для грунта, на вскидку около 1/3 длины волны). Исключение составляют георадары о которых говорилось выше, их особенность в том, что антенна согласована с почвой, как средой распространения радиоволн. А радиолокатор на спутнике должен быть согласован в первую очередь со свободным пространством.
По всей видимости, тоннели находят, всё-таки по косвенным признакам, но их перечень выходит далеко за рамки "дорог в никуда" и "активного трафика", так, например, для прогнозирования землетрясений берут в учёт наличие на снимке особой формы облаков, которая обусловлена повышеными выбросами радона.

интересно каким образом можно поразить десять выходов их шахт, о которых известно и ещё шесть о которых нет информации где они вообще находятся и ещё полсотни ложных, которых с космоса отличить от настоящих невозможно, даже если накрыть все известные выходы разделяющимися ядерными зарядами, то всё равно вероятность поражения всего 5-30%, мобильные в поездах и фурах решают этот вопрос дешевле, с этим согласен и большая часть этих фур ложные цели.

Любое разгретое вещество имеет помимо прочего, собственное свечение в радиодиапазоне. Вспышка высокотемпературного свечения факела ракеты, которой сопровождается запуск, будет зафиксирована радиометром, по направлению и скорости движения факела можно судить о цели и сроке поражения.
Т.Е место положения шахты, из которой единожды производился запуск ракеты перестанет быть секретом для компетентных лиц. Поэтому, очевидно, мобильным комплексам в современной оборонной промышленности и уделяется такое внимание.
 
Существует простая,физичеая истина: Чтобы обнаружить подземное сооружение, нужно чтобы толщина грунта от свода до поверхности Земли была меньше Скин-слоя для длины волны зондирующего сигнала (для грунта, на вскидку около 1/3 длины волны).
Интересные новости. Откуда такие данные? Это научно доказано и я что-то прозевал или это плод ваших фантазий?
Gudv1n, я не подкалываю, вы действительно заинтриговали.
Ну, если бы вы засветили 1/4, 1/2, волну, наконец, я бы пропустил это мимо, как очередной флуд, безграмотную подборку из инета или т.п. Но... :eek: 1/3 волны... :confused: ни в узел. ни в пучность, ни в хвост, ни в гриву. Да еще и фигурирует скин слой земельки, как для проводящих сред или вырожденных полупроводников.

Для достоверной интерпретации результатов электромагнитного зондирования природных сред необходимо учитывать пространственное распределение радиоволновых параметров. Причем, эти параметры имеют нестационарный характер и зависят от целого ряда факторов. Например, от погодных условий, влажности, температуры, засоленности, плотности и т.д. И вся эта изменчивая масса факторов меняет радиоволновые параметры зондируемой среды и оказывает сильное влияние на отражение электромагнитных волн.

О каком таком скин слое вы ведете речь? Откуда и что такое ваши 1/3 лямбда?
Каюсь: мечтаю услышать подробности.


:пиво:
 
Останнє редагування:
Ик излучение, если тоннели действуют и в них отличная температура от грунта.

т.е. если сам тоннель может изменить температуру поверхности грунта (т.е. не глубокий). вспоминаем как теплотрассы снег даже заставляют таить на них!

а тепловой камере хватит доли градуса(0,05 градуса перепад пофиксит) перепада чтобы зафикить это.

ну на глубинах 20м и ниже уже ничего не обнаружить но то что у ТС вначале про подкопы фактически, там глубина небольшая, вентиляция... значит сильное изменение по температуре грунта
 
Интересные новости. Откуда такие данные? Это научно доказано и я что-то прозевал или это плод ваших фантазий?
Gudv1n, я не подкалываю, вы действительно заинтриговали.
Ну, если бы вы засветили 1/4, 1/2, волну, наконец, я бы пропустил это мимо, как очередной флуд, безграмотную подборку из инета или т.п. Но... :eek: 1/3 волны... :confused: ни в узел. ни в пучность, ни в хвост, ни в гриву. Да еще и фигурирует скин слой земельки, как для проводящих сред или вырожденных полупроводников.

Для достоверной интерпретации результатов электромагнитного зондирования природных сред необходимо учитывать пространственное распределение радиоволновых параметров. Причем, эти параметры имеют нестационарный характер и зависят от целого ряда факторов. Например, от погодных условий, влажности, температуры, засоленности, плотности и т.д. И вся эта изменчивая масса факторов меняет радиоволновые параметры зондируемой среды и оказывает сильное влияние на отражение электромагнитных волн.

О каком таком скин слое вы ведете речь? Откуда и что такое ваши 1/3 лямбда?
Каюсь: мечтаю услышать подробности.


:пиво:

есть особые типы волн ,
с очень высокой проникающей способностью,
вот с их помощью и смотрят грунт особо продвинутые,
но официальную науку заставляют вещать что этого не существует,
даже система спецсвязи была на этих волнах ещё при ссср.
 
Интересные новости. Откуда такие данные? Это научно доказано и я что-то прозевал или это плод ваших фантазий?
Про скин-эффект можно прочитать здесь:
https://ru.wikipedia.org/wiki/Скин-эффект
Там говорится что, чем выше частота тока в проводнике, тем сильнее токи концентрируются ближе к поверхности проводника.
Представим такую ситуацию: Волна не слишком высокой частоты падает на металлическую фольгу конечной толщины: Вектор Е направлен, к примеру вертикально. Волна наводит на фольге ток направленный, так же как и вектор Е. Далее возможно 2 случая:
а) Толщина фольги больше скин-слоя, наводимый на фольге ток течёт только с той стороны фольги, на которую падает волна. Имеет место экранирование
б) Толщина фольги меньше скин-слоя (для данного металла и данной длинны волны), наводимый на фольге ток течёт с обеих сторон фольги, имеет место излучение фольги как вторичного источника, экранирования нет.
В случае с не металлическим экраном скин-слой тоже есть, но для него построена немного другая теория(
⚠ Тільки зареєстровані користувачі бачать весь контент та не бачать рекламу.
) в соответствии с ней, толщина скин-слоя зависит главным образом от диэлектрической проницаемости среды.
На кафедре где я работаю, в своё время проводили опыты по измерению диэлектрической проницаемости: различных растворов воды, крови, живых тканей, выжатые листья деревьев и.т.п. В общем можно сказать, что для влагосодержащих сред, на практике, скин-слой оказывается порядка трети длины волны свободного пространства. Конечно, на сколько мне известно, проницаемость земли никто не мерил, т.к. процесс взятия почвы нарушит и структуру и рыхлость почвы, но смысл моего первого сообщения остаётся прежним: в явном виде видеть подземные коммуникации с космического РСА можно, только если их "подземными" можно назвать с очень большой натяжкой.

Ну, если бы вы засветили 1/4, 1/2, волну, наконец, я бы пропустил это мимо, как очередной флуд, безграмотную подборку из инета или т.п. Но... 1/3 волны... ни в узел. ни в пучность, ни в хвост, ни в гриву. Да еще и фигурирует скин слой земельки, как для проводящих сред или вырожденных полупроводников.
Под длиной волны я имел в виду длину волны в свободном пространстве. При попадании этой волны в среду с другой диэлектрической проницаемостью, её большая часть отразится, а у той, что проникнет скорость распространения уменьшается, а частота остаётся постоянной. Стало быть, длина волны уменьшается.
На расстоянии 1/3 длины волны свободного пространства, в грунте уложится множество длин волн, которые затухнут.
Умозрительным примером такого распространения радиоволн может служить свет падающий на сосуд с водой. Искажение формы объекта погруженного в воду обусловлено именно разной скоростью распространения света в воде и в пространстве.
А скин-эффект, к слову, в оптике применяется при создании фото-фильтров. На стеклянную подложку напыляют металл, его капли оказываются меньше длины волны видимого света, а нужные спектральные характеристики получают используя различные сплавы металлов и различные толщины напыления.
есть особые типы волн ,
с очень высокой проникающей способностью,
вот с их помощью и смотрят грунт особо продвинутые,
но официальную науку заставляют вещать что этого не существует,
даже система спецсвязи была на этих волнах ещё при ссср.
Я такое уже слышал раньше, и про то что есть антенны длиною в десятки километров, и нужно это чтобы подводные лодки могли выходить на связь, не подавая признаков присутствия на поверхности воды. Теоретически на земле такой антенной может послужить какой-либо газопровод, а вот что за устройство на подводной лодке - это загадка.
 
с лодки скидывается кабель который за ней хвостом тянется

но для спутников ничего из этого не подходит
1. всё это активные системы с излучателем, а спутник не атомная электростанция и не Днепрогэс чтоб столько энергии выдавать
2. такие частоты не пройдут либо по воздуху, либо по почве, взаимоисключающие пункты
3. про те что у подводных лодок для связи, там не случайно такие антенны, они низкочастотные, даже если вам прийдёт в голову использовать их для сканирования, найдёте вы разве что объекты размером с Эверест
 
Инфранизкие хорошо проходят. Но это не к тоннелям.
 
Не слушай "великих специалистов", которые тут гонят "ни грамма в рот, ни сантиметра в жо...". Набери в поиске "спутниковые спектроснимки" и читай.
А еще рекомендую обратить внимание на современные спутниковые георадарные технологии.
Успехов.

дык, с таким же успехом можно детекторами торсионного излучения пользоваться :D:D:D

спектроснимки в каком диапазоне? )))

оборжался пока читал тему )
 
Останнє редагування:
В случае с не металлическим экраном скин-слой тоже есть, но для него построена немного другая теория(
⚠ Тільки зареєстровані користувачі бачать весь контент та не бачать рекламу.
) в соответствии с ней, толщина скин-слоя зависит главным образом от диэлектрической проницаемости среды.
Мне нравится, когда ломают старые теории и строят новые.
Так, например, теорию георадаров от Копейкина давно надо выкинуть на свалку.

На кафедре где я работаю, в своё время проводили опыты по измерению диэлектрической проницаемости: различных растворов воды, крови, живых тканей, выжатые листья деревьев и.т.п.
Что за кафедра? Чем занимаетесь? Как измеряли? Можно подробнее?

В общем можно сказать, что для влагосодержащих сред, на практике, скин-слой оказывается порядка трети длины волны свободного пространства.
Допустим. Но это же легко проверить.
В отличие от здешних флудеров я выступаю тут не по цитированию желтых интернет статеек. У меня есть собстенные приборы для подповерхностного зондирования, в частности - тепловизор и георадар. И теоретическая, и практическая подготовка есть. Как влияет влажность и все остальные факторы на прохождение радиочастотных сигналов я вижу уже не один год.

Конечно, на сколько мне известно, проницаемость земли никто не мерил,
Этим занимаюсь почти каждый день.

т.к. процесс взятия почвы нарушит и структуру и рыхлость почвы, но смысл моего первого сообщения остаётся прежним: в явном виде видеть подземные коммуникации с космического РСА можно, только если их "подземными" можно назвать с очень большой натяжкой.
Меня больше интересует практика.
Если ты прав, то процесс зондирования можно обеспечить с любой высоты. Косвенные подтверждения этому есть и у меня. Но практически я не видел такой техники. Хотя анонсы георадаров для подвески на ЛА встречались неоднократно. Есть у меня и видео одного такого экспериментального георадара, сделанного в Харькове. Но в серию он не пошел. Переговоры с авторами завели в тупик кругленькой суммой. А я бы с радостью приобрел такой девайс.

Под длиной волны я имел в виду длину волны в свободном пространстве. При попадании этой волны в среду с другой диэлектрической проницаемостью, её большая часть отразится, а у той, что проникнет скорость распространения уменьшается, а частота остаётся постоянной. Стало быть, длина волны уменьшается.
Все не совсем так. А точнее, совсем не так.
Но свое видение я пока попридержу. Хотелось бы познакомиться с уже готовыми решениями.

:пиво:
 
Останнє редагування:
А карстовые пустоты выявить можно? Говорят в Харькове и около - достаточное количество. По легенде - можно, не выходя на верх, пройти до Чугуева :)
 
Назад
Зверху Знизу