Змінюй хід війни! Допомагай ЗСУ!

Строительство дороги через "Барабашово"

  • Автор теми Автор теми Aksev
  • Дата створення Дата створення
⚠ Тільки зареєстровані користувачі бачать весь контент та не бачать рекламу.

Хотим вам показать один из наших проектов...



это никогда не будет построено....:D:D:D:D если расширят матюшенко веснина уже отлично или пробъют дорогу в конце пушкинской...
щя *****ва по инерции усопшего хапнет по максимуму и уйдет в зокад)))
 
Хотим вам показать один из наших проектов...

Причём, это старый проект:

25 ноября 2013 г.

⚠ Тільки зареєстровані користувачі бачать весь контент та не бачать рекламу.


Район рынка «Барабашово» и часть Салтовки в ближайшие годы постигнут глобальные изменения. Харьковские власти, совместно с архитекторами, решили снести торговые павильоны, кардинально бороться с пробками и даже построить современную спортивную базу, где будут проходить регаты мирового уровня.

Для этого несколько лет назад специально был разработан большой детальный план. Он охватывает не только рынок, но и территорию, начиная от улицы Шевченко, от метро «Киевская», до улицы Блюхера, улицы Гвардейцев Широнинцев, от метро «Героев труда» и практически до Московского проспекта.

В первую очередь, по задумке градостроителей, реконструкция должна коснуться рынка «Барабашово»: взамен устаревшим павильонам придут высотные торгово-развлекательные центры. Возле рынка появятся и новые жилые высотки, а чтобы расчистить территорию, снесут ветхий «жилой фонд».

21f9f743ae1a7ef5695d611a0bf61d81.webp


abe05f12c1629d2d56a5ef137a9698f7.webp


e4e81f47276ca59ea494cd38ea750ae6.webp


65f9ccb061efe4cce5fb684e10f08b7f.webp


6074e276f6ce84882324390d8eaaf9a0.webp
 
Объявлен тендер на строительство моста:

⚠ Тільки зареєстровані користувачі бачать весь контент та не бачать рекламу.


Начальная цена 57 млн грн.

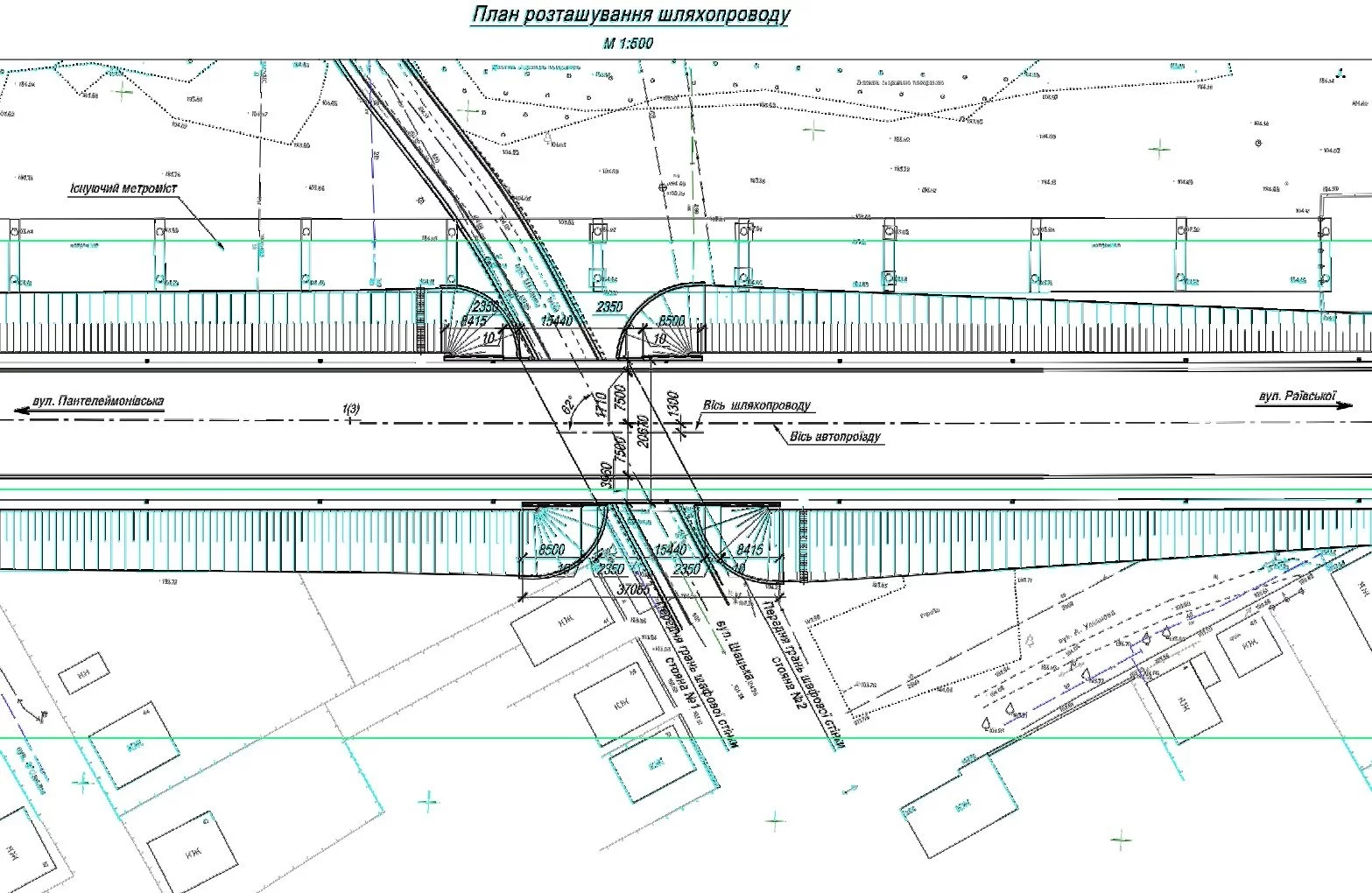
Будівництво цього об’єкта передбачає комплекс заходів щодо забезпечення безпеки всіх учасників дорожнього руху, включаючи мало мобільні групи населення, шляхом улаштування перетину доріг в фізичних рівнях.
Повна довжина шляхопроводу та ділянок сполучення з підходами – 37,04 м. Габарит проїжджої частини шляхопроводу призначений Г=15,0 м, що забезпечує пропуск автотранспорту по чотирьом смугам руху b=3,5 м (по дві смуги руху у кожному напрямку) зі смугами безпеки шириною по 0,5 м з боку бар’єрного огородження.
Ширина пішохідного тротуару прийнята 3,0 м, а технологічного тротуару – 0,75 м (з боку метро-мосту), згідно із завданням на проектування та попередніми узгодженнями.
Передбачено також електроосвітлення тротуарів у нічний час та установлення шумозахисних екранів вздовж всієї проїжджої частини.
 
Это только мост над Шацкой ул., не над рекой.

6f1182be8ae855ced4ae1.webp
 
Похоже, что в отличие от метромоста, бОльшая часть этой дороги пойдет по насыпной дамбе, и лишь собственно над рекой будет мост.
 
Такий міст (його будівництво) не може коштувати 57 млн грн.
Скоріш за все, мова йде його складову частину
 
Такий міст (його будівництво) не може коштувати 57 млн грн.
Скоріш за все, мова йде його складову частину

Ну если это только собственно мост через реку имеется в виду, то почему бы нет? Длина моста будет около 50 м. Все остальное - насыпь.
С этой точки зрения мне интересно, почему при строительстве СЛ выбрали именно вариант такого длинного моста? Могли ведь тоже мост только над рекой сделать, а все остальное - на насыпи. Это ж дешевле.
 
Ну если это только собственно мост через реку имеется в виду, то почему бы нет? Длина моста будет около 50 м. Все остальное - насыпь.
С этой точки зрения мне интересно, почему при строительстве СЛ выбрали именно вариант такого длинного моста? Могли ведь тоже мост только над рекой сделать, а все остальное - на насыпи. Это ж дешевле.
Может быть потому, что исходили из данных гедезии, а не из соображений дешевизны?
Там низина насколько помню, речка разливается весной, летом болото.
Может насыпь подмыть при плохих раскладах и смыть при совсем плохих.
 
Такий міст (його будівництво) не може коштувати 57 млн грн.
Скоріш за все, мова йде його складову частину

Ну если это только собственно мост через реку имеется в виду, то почему бы нет? Длина моста будет около 50 м.
Э, народ, вы вообще читали, что выше написано? Картинку смотрели?

Это только мост над Шацкой ул., не над рекой.

Повна довжина шляхопроводу та ділянок сполучення з підходами – 37,04 м.

Из тендера:
Нове будівництво шляхопроводу в районі вул. Шацької у м. Харкові
Строк поставки товарів, виконання робіт чи надання послуг: 31 грудня 2022
 
Re: Строительство дороги через "Барабашово"

 
Re: Строительство дороги через "Барабашово"

 
Re: Строительство дороги через "Барабашово"

В березні на об'єкті щось рухалось ?
 
Re: Строительство дороги через "Барабашово"

Чему вы удивляетесь? В эту стройку капитально вмочил свои рога Ярославский, а там где этот мент - жди ****инга денег и отсутствие результата. ХТЗ тому яркий пример.
 
Re: Строительство дороги через "Барабашово"

Чему вы удивляетесь? В эту стройку капитально вмочил свои рога Ярославский, а там где этот мент - жди ****инга денег и отсутствие результата. ХТЗ тому яркий пример.

То ****инг - куда надо ****инг. Ярославский же объявил о намерении реинкарнировать Металлист? Объявил. Дело, востребованное харьковчанами? Да. А это требует немалых денег, т.к. Металлист был в долгах, как в шелках. Вон Беня Коломойский угробил свой Днепр из-за каких-то 2 млн баксов. А Металлист одному только Шавьеру задолжал 5 лимонов. Да, ****инг. Но для харьковчан же! :)
 
Re: Строительство дороги через "Барабашово"

Ну ***** нужен этот цирк? Харьковчан спросили, хотят ли они за свои кровные дать Ярославскому возможность реанимировать Металлист? За свои личные пусть реанимирует Металлист. Лично мне монопенисуально на этот стадион и футбольную команду если это будет делаться за городской бюджет и ценой сворачивания проектов, которые нужны для города в первую очередь.

Да, ****инг. Но для харьковчан же!
Повторение Гепиных нарративов? Только Харьков в долгах как в шелках после трёхколёсного, а Гепино кубло имеет активов на лярд с лишним.
 
Re: Строительство дороги через "Барабашово"

Дело, востребованное харьковчанами? Да. А это требует немалых денег, т.к.
Да *** я вообще клал на этот металлист, даже если его вообще не будет. Футбол-это шоу для люмпенов. Дороги пусть сделают во дворах на салтовке.
 
Re: Строительство дороги через "Барабашово"

Да *** я вообще клал на этот металлист, даже если его вообще не будет. Футбол-это шоу для люмпенов. Дороги пусть сделают во дворах на салтовке.

Значна частка харків'ян - і є люмпени...
 
Re: Строительство дороги через "Барабашово"

))))
Дивіться глибше. Якщо в бюлетенях буде Гепа, то вони й за нього проголосують !
 
Назад
Зверху Знизу